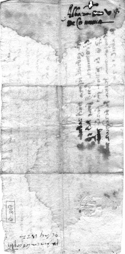
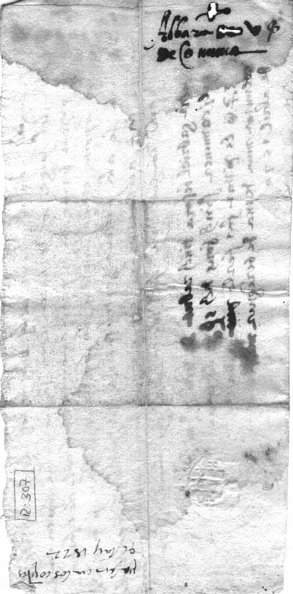
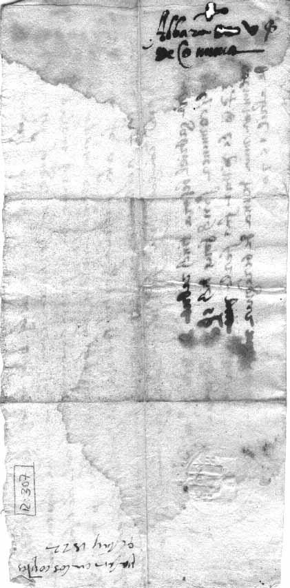
Gabriel Besora d’Alforja, signa rebuda a favor del
comuner de la Comuna per la quantitat de 5 sous, els
quals es reben per haver mort un llop a la part anomenada
el Coll d’Alforja. També hi consta la certificació
de l’acte de la mort del llop expedida per un notari.
Llengua: Català
Escriptura:
La Selva del Camp és una vila i municipi de la comarca del Baix Camp situat entre la plana del Camp i els primers contraforts de la serra de la Mussara. Benvingudes i benvinguts!
© All Rights Reserved.